Содержание
Как выглядит лишай у кошек
Лишай – очень распространенное кожное заболевание среди кошек. Особенно часто этот недуг поражает тех животных, которых владельцы отпускают гулять на улицу. Избавиться от него удастся только с помощью медицинских препаратов, сам по себе лишай не пройдет. Каждому хозяину кота нужно знать, как распознать недуг.
Первые признаки лишая у кошек
Чем раньше вы заметите проблему и начнете лечение, тем быстрее заметите эффект. Лишай – поражение кожного покрова, которое вызывают грибки. Передается от одного животного к другому, как при прямом контакте, так и через вшей, клещей, других паразитов. Споры могут оставаться на выпавшей шерсти, в лотке. Идеальная среда обитания для них – жара и условия повышенной влажности. Заболевание поражает взрослых особей, но чаще возникает у котенка, организм которого находится в стадии активного развития. Как начинается лишай у кошек:
- животное сильно чешется, особенно много внимания уделяет ушам;
- в начальной стадии у питомца сильно выпадает шерсть с образованием комков (это похоже на интенсивную линьку);
- облысевшие участки кожи сморщены, красные;
- кошка отказывается есть, быстро худеет, становится неактивной, вялой, постоянно спит;
- шерсть на зараженных местах тускнеет, ломается, теряет цвет.
Как выглядит кошачий лишай
Болезни сильно подвержены длинношерстные коты, животные со слабым иммунитетом. В группе риска находятся питомцы, у которых есть паразиты или инфекции, а также те, кто содержится в неблагоприятных условиях, плохо питается. Заболевание может не проявляться до нескольких месяцев с момента заражения. Как выглядит лишай у котов:
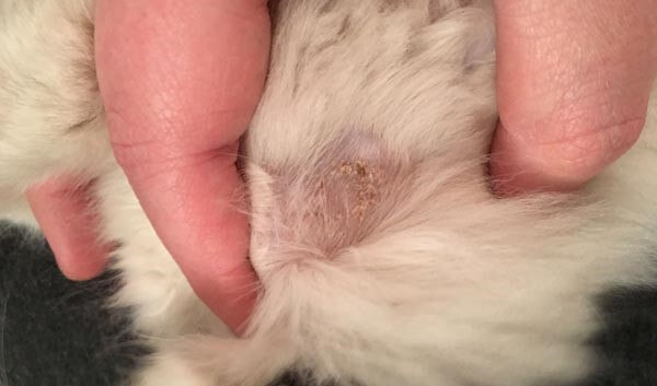
- На теле (чаще в области головы, на шее, лапках, хвосте) появляются круглые лысины, на которых практически отсутствует шерсть. Если не лечить болезнь, то они становятся все крупнее, соединяются в большие очаги.
- На коже заметны чешуйки сероватого цвета. В дальнейшем в очагах заметно появление белого налета. Похоже, будто у кошки перхоть.
- Кожа в очагах повреждения становится сморщенной, приобретает болезненно красный цвет. Позже могут появиться пузырьки или гнойники.
- Если болезнь поразила и когти, то они начинают деформироваться.
Виды лишая у кошек
Выделяют две формы заболевания в зависимости от грибка, являющегося возбудителем: трихофития и микроспория. Они протекают по-разному. Инкубационный период трихофитии составляет от одной до шести недель. Очаги появляются на голове, шее. Очень редко происходит поражение лап и хвоста. Как выглядит лишай у кошек при трихофитии:
- Зараженные участки кожи краснеют и лысеют, на них появляется налет.
- Заметно проявление небольших пятен с резкими очертаниями, бугорков. При прогрессировании болезни они разрастаются.
- Кошка постоянно чешет очаги лишая.
- Пораженные участки покрываются чешуйками, корками.
Микроспория, как правило, проходит скрыто и бессимптомно. Лишь иногда при тщательнейшем осмотре хозяева обнаруживают, что у кошки есть кое-где обломанные шерстинки, а места вокруг них покрыты чешуйками. Грибок поражает голову, конечности, хвост. Заболевание дает о себе знать в моменты, когда иммунитет животного сильно падает, либо по причине ухудшения условий содержания. Тогда микроспория принимает одну из нетипичных форм:
- Дерматофитоз. При этом виде лишая наблюдается постоянный сильный зуд, начинает интенсивно выпадать шерсть, но очаги не появляются. Кожа покрывается перхотью, ранками. Возможно воспаление спинки носа.
- Стригущий лишай. Бугристое повреждение кожи с четкими очертаниями.
- Пустулезный дерматит. Появляется обычная или гнойная сыпь. Шерсть не сыпется, чешуек нет.
Лишай у кошек — фото, признаки и лечение
Лишай – одно из самых известных кожных заболеваний кошек. «Лишаем» называют в народе многие кожные болезни кошек. Большинство из них встречаются исключительно редко и никакой опасности для человека не представляют. А тот, которого опасаются многие владельцы – стригущий лишай – по-научному называется дерматофития. Под этим названием объединяются две очень похожих болезни – микроспория и трихофития.
Печальную славу стригущему лишаю принесло то, что болезнь заразна для человека и от лишая часто страдают дети. Насколько обоснованно родительское беспокойство, как понять, что у вашего питомца лишай и что делать, если вы подозреваете у животного это заболевание?
Симптомы лишая у кошек
Первые признаки лишая у кошек, которые может заметить владелец – это алопеции, бесшерстные пятна, которые сначала по размеру не превышают рисового зернышка, но довольно быстро разрастаются. Появляется зуд.
Внимание! Эти симптомы характерны для многих болезней кожи! Если у животного залысины, необязательно у него лишай, но любые проблемы с кожей требуют срочного обращения в ветклинику!
С течением времени залысины увеличиваются, можно разглядеть на их концах обломанные шерстинки. Центральные части алопеций, изначально здорового бледно-розового цвета, могут обладать некоторой отечностью. Но со временем из-за постоянного расчесывания и разлизывания эти участки воспаляются, приобретают красный цвет и могут начать гноиться. Эти признаки также характерны не только для лишая, и определить, что за болезнь приключилась с вашей кошкой, может только ветеринарный врач.
Важно понимать: чем дольше животное с лишаем не получает лечение, тем выше опасность заразиться им для членов вашей семьи.
Факторы заражения
Лишаем кошка может заразиться при непосредственном контакте:
- с больным животным;
- с больным человеком;
- с предметами, в контакте с которыми недавно были заболевшие животное или человек.
Такими предметами могут быть подстилки для животных, расчески, и даже объекты окружающей среды — стены в подъезде, земля и др.
Важная особенность. Возбудители заболевания – грибки рода Mycrosporum и Trichophyton. Споры этих грибков в волосках или в чешуйках кожи сохраняют жизнеспособность годами.
По счастью, контакт с зараженным объектом не означает, что животное обязательно заболеет: существует иммунитет к этому заболеванию. Но есть и факторы, предрасполагающие к заболеванию. Это молодой возраст (поэтому дети болеют лишаем чаще взрослых, да и у кошек болезнь чаще встречается у молодняка), нежная кожа, повреждения на коже.
Диагностика лишая
Самостоятельно диагноз установить не удастся. Симптомы лишая похожи на другие кожные болезни, поэтому подтверждают этот диагноз инструментальными и лабораторными методами. Но в любом случае кожные болезни и зуд требуют обращения в ветклинику.
Внимание! Если стригущий лишай обнаружен у любого из членов семьи или у человека, который бывал в вашем доме, отведите животное на профилактический прием! Кошка может быть заражена, но еще не проявляет симптомов. В этом случае буквально одна обработка сделает питомца безопасным для людей, он перестанет быть потенциальным источником повторного заражения.
Читайте так же: Как диагностировать мочекаменную болезнь у кота
В ветклинике вам предложат несколько вариантов обследования.
Люминесцентная диагностика (лампа Вуда). Экспресс-метод, основанный на свойствах грибницы дерматофитов давать в ультрафиолетовом свете ядовито-зеленое свечение. Плюсы – это быстро и дешево, позволяет выявить заражение на самых ранних этапах. Минусы – результат неточный, только 50% дерматофитов можно выявить этим методом.
Микроскопия соскоба. Результат анализа можно получить в течение дня или на следующий день, если лаборатория располагается прямо в клинике, то результат может быть получен и до конца приема. С границ пораженного очага выщипывают шерсть. Это безболезненная манипуляция. Её помещают в специальную пробирку или на предметное стекло, специальным образом подготавливают и под микроскопом рассматривают волосинки с целью обнаружить споры грибов. Достоверность этого метода выше, чем у люминесцентной диагностики, однако даже при правильном заборе образца зараженные волоски могут не попасть в пробу, и тогда результат будет ложноотрицательным.
ПЦР на дерматофитов. Современный способ обнаружения стригущего лишая. Чувствительность гораздо выше, чем у микроскопического метода: даже при минимальном количестве спор грибков в образце анализ покажет положительный результат. Минус – стоимость исследования и сроки исполнения (до 3 дней).
Посев на чувствительность к противогрибковым препаратам. Применяется не для ответа на вопрос, есть лишай или его нет, а в случае, если заболевание долго не получается вылечить. Анализ помогает подобрать препарат, который с наибольшей вероятностью поможет избавиться от грибка. Срок исполнения – от 14 дней.
Особенности лечения лишая
Для лечения стригущего лишая применяют антигрибковые препараты, которые должен назначить ветеринарный врач. У этих лекарств есть побочные эффекты, поэтому применение их «для профилактики» и в неправильной дозировке может вызвать побочные эффекты, которые потребуют тяжелой и длительной терапии.
В зависимости от степени поражения лекарства могут применяться внутрь (обычно в виде таблеток) или наружно (шампуни, мази). Если назначена мазь, необходимо защитить обработанные участки от слизывания. Для этого на кошку надевают специальный воротник. Если у вас несколько питомцев, на время лечения необходимо их разделить.
В некоторых случаях может применяться вакцина против дерматофитозов («Вакдерм», «Микродерм»). Применение этих препаратов необязательно: в некоторые схемы они входят, а в некоторые – нет. Раньше считалось, что они эффективны и для профилактики лишая, но в последнее время это их свойство считается недоказанным и на Западе такие вакцинации не применяют.
Чаще всего лишай бесследно проходит после первого же курса лечения. Большинство неудач связано с тем, что владельцы недостаточно обеспечили соблюдение гигиенических требований и произошло повторное заражение. Но бывают редкие случаи, когда грибок оказывается устойчивым к назначенному препарату. В этом случае ветеринар должен назначить посев грибков на чувствительность.
Если в результате анализа будет указано, что обнаруженный в пробе штамм чувствителен к тому препарату, который получал питомец, это вызывает вопросы либо к качеству препарата, либо к гигиене. Однако случается и так, что «в пробирке» штамм от антимикотического средства погибает, а на животном – нет.
В любом случае лекарство заменяют на то, которое по результатам анализа показало наивысшую чувствительность, и повторяют курс. Иногда назначают комбинацию лекарств, соединяя их таким образом, чтобы одно усиливало действие другого. Это явление называется синергизмом и его используют, чтобы, не выходя за рамки терапевтических доз препаратов, усилить эффективность лечения.
В тяжелых случаях, когда к грибковой инфекции добавилось бактериальное заражение, применяют антибиотики. В дерматологической практике это обычно длительные курсы антибиотиков группы пенициллина, лучше в комбинациях. Чаще всего применяют ампициллин или амоксиклав («Синулокс»).
Лечение лишая у кошки народными средствами
Стригущий лишай – болезнь, которая может передаваться человеку. Поэтому эксперименты с народными средствами недопустимы, животному требуются современные противогрибковые лекарства, которые должен назначать ветеринарный врач.
Гигиена помещений при лишае у кошек
Больное животное лучше всего изолировать в помещении с легко моющимися покрытиями. Это может быть ванная или кухня. Можно применять на время лечения просторную клетку.
Обои, мягкая мебель и особенно щели пола – это места, куда могут попасть зараженные частицы шерсти или кожи, и очаг инфекции останется в доме на долгие годы. Обработки всех этих предметов возможны, но это трудоемкое занятие.
Для проведения животному процедур необходимо выделить специальную одежду, которую необходимо регулярно стирать, чтобы кошка не заражалась во время манипуляций, призванных избавить ее от болезни.
Все предметы обихода, которые использовались для животного, необходимо вымыть, а домики, подстилки, лежаки лучше выбросить. Одежду, которая контактирует с питомцем, следует замачивать в дезинфицирующих средствах, затем стирать и во влажном состоянии тщательно проглаживать утюгом. Чтобы не возиться с одеждой больше необходимого, можно применять одноразовую нестерильную медицинскую одежду.
Дорогостоящие вещи – мягкую мебель, многоэтажные кошачьи домики – необходимо в первую очередь тщательно пропылесосить. Затем проводят тщательную влажную уборку. Чтобы избавиться от спор окончательно, применяют дезинфекционные средства.
Внимание! Далеко не все средства действуют на споры грибков! Хлоргексидин и кварцевание против лишая неэффективны совсем, йод и хлорсодержащие средства должны применяться в высокой концентрации! Не тратьте свои силы на бесполезные и малоэффективные приемы!
Искать средство от спор грибка, а именно их вам и нужно уничтожить, лучше среди медицинских дезинфектантов. Убить грибницу вне кожи проблем не составит, тут подойдёт всё, что угодно, начиная от обычного солнечного света. А вот споры – живучие.
Приведем только два примера дезсреств, которые помогут решить проблему. Это «Демос» — отечественный препарат, недорогой, с запахом хвои. Выпускается в виде геля. Работать необходимо в перчатках, он часто вызывает кожные реакции. Время экспозиции (обработки поверхностей) составляет 1,5 часа, затем средство можно смывать.
Второй вариант – «Тристел фьюз для поверхностей». Это средство действует уже через 5 минут, и в таком быстродействии его наиболее важное отличие от «Демоса». В его составе нет отдушек. Средство может применяться на всех непористых поверхностях. Если же вам нужно обработать мягкую мебель, сначала проверьте рабочий раствор (разведенный согласно инструкции препарат) на незаметном участке обивки. Если ткань не полиняла, пользуйтесь, обращая особое внимание на места стыков. Для обработки полов лучше сначала проверить средство на кусочке подложки – для самого покрытия препарат безопасен. Для обработки мягкой мебели и труднодоступных мест раствор стоит наливать в пульверизатор.
Читайте так же: Кастрация кота уход за раной
Те же рекомендации можно дать и для других средств типа «Тристела»: на рынке их довольно много. Важно обращать внимание на то, действует ли препарат именно на споры грибков, а также на время экспозиции.
Профилактика лишая
Как уже говорилось, профилактическая вакцинация кошек против лишая признана в настоящее время неэффективной. Заражение стригущим лишаем у домашних питомцев – чаще всего случайность, и нередко оказывается, что источник заражения – не животное, а как раз человек.
Чтобы питомец не заразился лишаем, не надо давать ему доступ на улицу. Если питомец гуляет, то его контакты с другими животными, особенно с уличными, необходимо жестко ограничить. И, конечно, если животное гуляет на улице, ему нечего делать на мягкой мебели и тем более в кровати.
Защитить домашних кошек от лишая просто. Не допускайте их контакта со своей уличной одеждой, обувью, сумками. Мойте руки, возвращаясь домой. Перед использованием бывших в употреблении предметов ухода за животными тщательно мойте их с применением дезинфицирующих средств. Не пользуйтесь бывшими в употреблении лежачками и кошачьими домиками, если на 100% не уверены в том, что у прежних владельцев не было лишая.
Стригущий лишай в современных условиях легко поддается лечению. Прошли те времена, когда заболевших кошек подвергали эвтаназии, сейчас таких рекомендаций не даст ни частная, ни государственная ветклиника. Главное – строго соблюдать назначения ветврача, правила гигиены и не допускать повторного заражения питомцев.
Хотите задать вопрос по статье или что-то уточнить? Звоните +79774692712, проконсультируем.
Как лечить лишай у кошек в домашних условиях. Препараты и народные средства от стригущего и мокнущего лишая
На голове, теле вашей кошки появились круглые пятна без шерсти? Видны чешуйки, гнойнички или пузырьки? Скорее всего, питомец заразился грибковой болезнью. Без вмешательства он сам вряд ли справится, поэтому узнайте, чем вылечить лишай у кошки. С болезнью легче справиться на начальном этапе. Если же ее запустить, питомец может ослепнуть, умереть.
Как обрабатывать лишай
Грибком могут заразиться даже те кошки, которые большую часть времени проводят в домашних условиях. У них болезнь развивается быстрее и протекает агрессивнее. При возможности питомца стоит изолировать, если такое невозможно, нужно ограничить его нахождение на кровати, диване. Это делается потому, что лишай заразен и для человека. Для лечения кошки нужно выстричь шерсть рядом с пятнами и обработать пораженные места зеленкой, йодом.
Антисептическое средство от лишая у кошек
Антисептическим эффектом обладают капли, мази и спреи. Спрей от лишая для кошек следует распылять раз в день – примерно 0,2-0,3 мл на 1 кг животного. Необходимо лечение, длительностью до 2 недель. Мази наносят на пораженный участок при помощи ватного диска, захватывая область до 4 см вокруг очага. При этом не обязательно выстригать шерсть или удалять корочки до нанесения антисептического средства. Мазь от лишая у кошек наносят примерно дважды в день 7-10 дней.
Шампунь от лишая для кошек
Хорошо зарекомендованные наружные средства при грибковых заболеваниях – шампуни с содержанием миконазола, энилконазола, кетоконазола. Как лечить лишай у кошек? Шампуни рекомендуется использовать дважды в 7 дней 5-6 недель. Использовать согласно инструкции. Мыло и обычные шампуни при лишае использовать запрещается, потому что они способствуют распространению грибков.
Обработка помещения при стригущем лишае
Лечить заболевание нужно обязательно, иначе оно может передаться людям. Легко восприимчивы к лишаю те, у кого понижен иммунитет, есть хронические заболевания. Споры стригущего лишая долго сохраняют жизнеспособность, вездесущи, поэтому обязательно нужно обрабатывать помещение, в котором обитает животное, особенно кошачий угол (место). Необходимо:
- продезинфицировать место обитания больного питомца;
- пропылесосить ковры, мягкую мебель, радиаторы;
- обработать дезинфицирующим средством подоконники, полы (отлично справляется с микроорганизмами хлорка, разбавленная с водой);
- одежду, текстильные изделия прогладить раскаленным утюгом;
- деревянные, заржавленные поверхности покрыть новой краской.
Чем лечить лишай у кошки на начальном этапе развития болезни
При выборе лечения ветеринар обращает внимание на тяжесть поражения грибком, состояние иммунитета животного, размеры участков, пораженных болезнью. Благодаря всестороннему подходу получается подобрать подходящий метод и устранить причину развития кожной патологии. При первых признаках болезни могут назначаться эффективные наружные препараты от лишая у кошек, вакцины лечебно-профилактические. Ознакомьтесь с двумя методами подробнее.
Вакцина от лишая для кошек
Для лечения животных, в том числе при трихофитии, используются противогрибковые вакцины, которые обостряют протекание инфекции и способствуют скорейшему удалению корок с поверхности микротических очагов. Прививки противопоказаны беременным, кормящим кошкам, котятам младше 2 месяцев. Прежде чем делать укол, за 10 дней нужно провести дегельминтизацию (даже котенку). Цены на вакцины демократичны, поскольку многие производятся в России. Популярные препараты, поражающие грибы в краткие сроки:
- Вакдерм;
- Поливак;
- Микродерм;
- иммуностимуляторы Риботан, Анандин.
Серная мазь от микроспории
Как лечить грибок лишая у кошек? Используйте серную мазь – местное средство от микроспории у людей и домашних животных. Препарат выпускается в стеклянных банках по 25 г и 1 кг. Цена в аптеках – от 30 рублей. Действующее вещество мази – сера, которая после впитывания образует сероводород, сернистый ангидрид. Под действием указанных веществ достигается противомикробная активность, восстанавливается эпидермис. Как лечить стригущий лишай у кошек мазью? Нужно лишь мазать немного средства на пораженные участки и вокруг них на 2-4 см 1-2 раза в сутки. Лечение – не менее недели.
Как вылечить лишай у кошки в генерализованной форме заболевания
Если сильно поражены кожные покровы, речь идет о генерализованной форме заболевания. При этом типе зараженные участки составляют более 1/2 тела кошки, поэтому возможна вторичная инфекция. По этой причине генерализованная форма требует более серьезной терапии – кроме прививок, использования специальных мазей, спреев врач, скорее всего, назначит пероральные средства и противогрибковые лекарства.
Таблетки от лишая для кошек
После того, как подтверждено заражение лишаем и диагностирована генерализованная форма, назначаются следующие лекарства:
- Гризеофульвин. Это таблетки, подавляющие грибы и помогающие организму животного быстрее заменить пораженные ткани новыми. Препарат часто применяют в комплексе с мазями от лишая, сочетают с втираниями йода и спирта. Удобнее подмешивать лекарство в корм кошки.
- Итраконазол. Лекарство, подавляющее жизнедеятельность многих видов грибов. После применения всасывается во все органы, ткани, сохраняется в организме до 4 недель после окончания курса. Поскольку Итраконазол обладает токсическим действием, дозировка подбирается только ветеринаром.
Читайте так же: Болезнь сердца у кота
Противогрибковое лекарство от лишая для кошек
Кроме описанных выше лекарств при генерализованной форме заболевания кошкам может быть назначен препарат Кетоконазол. Это синтетическое лекарство из группы имидазола. Дают животному каждые 12 часов по 5-10 мг на 1 кг массы тела. Минимальная длительность лечения – 1 неделя. Лекарство может дать серьезные осложнения, поэтому его прописывают в запущенных случаях. Еще одно противогрибковое лекарство, которое хорошо лечит – Флуконазол. Лечение каждому питомцу подбирается индивидуально и зависит от того, какой оно дает эффект.
Лечится ли лишай у кошек антибиотиками
Для лечения грибкового заболевания иногда кошкам назначают и антибиотики. Это приходится делать, если у животного возникает гнойный дерматит, для которого характерны сильные расчесы, язвочки. Поврежденные участки дополнительно лечат антисептиками, делают компрессы с мазью Вишневского. Кроме этого показаны иммуностимуляторы.
Как вывести лишай у кошки народными средствами
Альтернативный способ вылечить грибковое заболевание – методы народной медицины. Они менее затратны, но помогают только на ранней стадии лишая. Рекомендуется пользоваться ими, если рядом нет ветеринарной клиники или нет возможности приобрести фармакологические препараты из-за высокой цены. Народные средства от лишая у кошек:
- Йод. Следует обрабатывать им пораженные места и немного здоровой кожи при первых симптомах лишая. Делать 2 раза в день. Возможно чередование с зеленкой.
- Смесь сока лимона и оливкового масла. Смешать 2 ингредиента в равных пропорциях, чуть подогреть, смешать в смеси тампоны и четырежды в день прикладывать к местам, пораженным лишаем.
- Чистотел. Нужно собрать растение, выжать из него сок и втирать его зараженные участки. Лечить таким способом 4-5 раз в день.
- Газетный пепел. Чтобы получить целебную смесь, нужно скрутить газету, поджечь ее. Когда все сгорит, останется пепел, который и следует использовать при лишае у кошек. Его нужно наносить 3-4 раза в день.
Цены на средства от лишая
Выше вы узнали, как лечить лишай у кошек разными средствами. Если говорить о ценах на препараты, они разные. К примеру, вакцины от лишая стоят недорого, потому что выпускаются в нашей стране. Доступны мази и многие лекарства. Примерный обзор цен:
Как и чем лечить лишай у кошки в домашних условиях
Видео (кликните для воспроизведения).
Чем лечить лишай у кошки — этот вопрос беспокоит многих людей, которым пришлось столкнуться с таким заболеванием. Когда питомец начинает чесаться и у него выпадает шерсть на определённых участках тела, хозяева могут растеряться и не понимать, как правильно лечить животное.
Чтобы вылечить лишай, нужно понимать какой кожной инфекцией заразился питомец и как его правильно лечить.
Как лечить разные виды лишая у кошек
Чтобы ответь на вопрос о том, как вылечить лишай у кошки и как понять, что болезнь проходит, нужно разбираться в разновидностях поражения кожных покровов. При знании определённых форм заболевания, можно узнать, как долго нужно проводить лечение и когда лучше остановиться, если у животного развился лишай.
В медицинской терминологии, лишай этой формы называют дерматофитоз. Стригущий лишай появляется на голове кошки и начинает распространяться по всему телу. После головы лишай возникает на ушах, шее, затем на спине и лапах питомца.
Чем больше кот будет чесаться, тем быстрее будет распространяться лишай. Лишай этой формы лечится различными антибактериальными мазями, противогрибковыми препаратами и гелями.
Мокнущий лишай у кошек значительно отличается от стригущего. Он не является заразным. У котёнка и у взрослого кота появление лишая может говорить об ухудшении иммунитета и недостатке витаминов в организме. Мокрый лишай проявляет себя, как экзема.
При поражении организма лишаем,изначально появляются красноватые пятна на теле животного. Постепенно на этих местах нарастают пузырьки наполненные экссудатом. Если ничего не предпринимать, они начнут лопаться и преобразовываться в гнойники. Лишай этой формы лечат различными мазями (серной, салициловой кислотой, дегтярной).
Одна из самых неизученных форм лишая. Ученые не могут установить причины по которым появляется розовый лишай. Большая часть специалистов утверждает, что лишай этой формы возникает по причине ослабления иммунитета животного, аллергических реакций.
Проявляется в виде небольших розовых пятен с шелушащейся кожей в центре. Для того чтобы вылечить кошку, требуется изменить питание (сменить корм), перестать её купать и обрабатывать поражённые участки кожи яблочным уксусом.
Отрубевидный
Относится к грибковым инфекциям. Его часто называют разноцветным лишаем. Может проявляться пятнами разных оттенков. Если не начать лечение, пятна будут увеличиваться в размере и поражать всё больше и больше пространства на теле.
Он передаётся между питомцами и людьми. При лечении кошачьего лишая используется концентрат сероводорода, которые наносится на поражённые места один раз в день. Чтобы кошка скорее избавилась от этого заболевания, необходимо совмещать лечение мазями с приемом иммуностимулирующих таблеток.
Как лечить лишай у кошек дома
Чтобы подобрать действенное средство для лечения кожных заболеваний у своего питомца, необходимо отнести кошу к ветеринару. Специалист назначит эффективное комплексное лечение. Медикаментозные средства:
ВНИМАНИЕ, ТЕСТ! Ответь на несколько простых вопросов и узнай, какой ты хозяин для своей кошки:
Есть ли имя у твоей кошечки?
Как часто ты играешь со своим питомцем?
Делаешь ли ты своевременно прививки и обработку от паразитов?
Твой котенок стерилизован/кастрирован?
Чем ты кормишь свою мурлыку?
Share your Results:
Twitter Google+ ВК
- Фунгин для кошек;
- Мирамистин;
- Фукорцин от лишая для кошек;
- Тридерм;
- Акридерм;
- Хлоргексидин;
- Ивермек;
- Тербинафин;
- Фунгин форте.
Очень популярным является средство Флуконазол для кошек от лишая, дозировку которого подбирает ветеринар. Заниматься самолечением с использованием медицинских препаратов категорически запрещено. В противном случае, можно усугубить ситуацию и навредить кошке.
Схема лечения будет напрямую зависеть от формы заболевания. Средства для лечения могут быть как для наружного применения (мази, гели, аэрозоли, капли), так и для внутреннего (капсулы и жидкие суспензии).
Чтобы быстрее справиться с вирусным или грибковым заболеванием, используются иммуномодуляторы и антибиотики.
В домашних условиях поражённые места можно мазать йодом, марганцовкой, солидолом и дёгтем. Применяя эти средства, необходимо наблюдать за реакцией организма. Если питомцу будет становиться хуже от их применения, необходимо обратиться к ветеринару.
Читайте так же: Кашель у кота лечение
Чем лечить лишай у кошки дома на начальном этапе
При возникновении симптомов, необходимо немедленно начинать лечение. На первых этапах, можно обойтись без медикаментозных средств.
Можно использовать шампуни от лишая для кошек, которые продаются в любых ветеринарных магазинах. Инструкция по применению и дозировке указываются на упаковке шампуня.
Спреи от лишая для кошек (Фунгин или Биопирокс) считаются ещё одним эффективным средством, применяемым для лечения лишая на первых этапах заболевания. Достаточно дважды в день обрабатывать аэрозолем поражённые участки кожи кошки, до улучшения общего состояния.
При лечении начальной стадии лишая необязательно использовать сильнодействующие составы и препараты.
Избавляемся от болезни при генерализированной форме
Когда стандартные лекарства оказываются бессильны, а заболевание продолжает прогрессировать, необходимо приступать к более радикальным методам лечения.
Ветеринар назначает комплексное лечение лишая, которое состоит из уколов, инъекций, таблеток, шампуней и мазей. Если вывести лишай у кошки комплексным подходом на дому не получается, врач назначает пребывание в стационаре. При этом питомцу будут назначены антигрибковые вакцинации для поддержания состояния организма.
Как вывести лишай у кошки народными средствами
Лечение лишая у кошек в домашних условиях основывается на использовании различных трав, продуктов и веществ, которые можно найти на кухне у большинства хозяек или в аптеках и продуктовых магазинах:
- Чистотел — известнейшее народное средство, применяемое для лечения различных кожных заболеваний как у людей, так и у животных. На изломе стеблей этого растения появляется желтый сок, которым нужно смазывать поражённые участки кожи.
- Лимонный сок — уничтожает болезнетворные микроорганизмы и ускоряет регенерацию тканей. Лечить котят таким способом не рекомендуется, потому что лимонный сок считается сильнодействующим средством. Им смазывают поражённые участки кожи два раза в день.
- Часто при лечении кожных заболеваний используют газетный пепел. Его наносят на пораженные участки эпителия 1 раз в 24 часа. Он эффективно убивает микробов и восстанавливает целостность кожного покрова.
Многие хозяева мажут пятна, образующиеся от лишая, зеленкой. Это можно отнести к домашним способам лечения, однако, при самостоятельном нанесении нужно соблюдать дозировку.
Дезинфекция и профилактика
Когда любимица полностью излечиться от кожного заболевания, необходимо выполнить обработку квартиры от лишая кошки. Иногда продезинфицировать квартиру не получается. В таких ситуациях хозяева не знаю куда деть кота во время лечения.
Одним из вариантов является помещение его в специализированную клинику. Во время отсутствия питомца, требуется сделать тщательную уборку всего помещения и вымыть все поверхность с хлоркой.
В качестве профилактики лишая нужно своевременно делать прививки, чаще вычесывать шерсть питомца, купать его раз в неделю с мылом и не давать ему контактировать с другими котами. Так можно значительно снизить риск развития лишая.
Здоровье кошки можно сохранить с помощью своевременной диагностики и правильного лечения. Кожные инфекции без должной терапии будут развиваться всё сильнее и сильнее, что приведёт к усугублению общего состояния животного.
Понравилась статья? Оцени ее и расскажи друзьям!
Чем лечить лишай у кошки
Стригущий лишай – самая известная кожная болезнь домашних животных и главная страшилка для неопытных владельцев. Привычка лечить лишай самостоятельно появилась и закрепилась в странах бывшего СССР усилиями государственной ветеринарной службы, которой в советские времена было предписано больных дерматофитией (так стригущий лишай называют ученые) подвергать эвтаназии, или, проще, умерщвлять, чтобы животные не заражали людей.
С тех пор ветеринария шагнула далеко вперед. Существуют простые и эффективные противогрибковые средства. И сейчас, мы надеемся, нельзя найти такого ветеринара, который порекомендует эвтаназировать кошку всего лишь из-за лишая.
Как заподозрить лишай
Чтобы лечить болезнь, надо быть уверенным в диагнозе. Проявления большинства кожных заболеваний похожи между собой и на глаз даже специалисту – ветеринарному дерматологу – не удастся определить, чем именно болен пациент. Поэтому для диагностики кожных болезней применяют разные инструментальные и лабораторные методы, которые позволяют отличить заразный стригущий лишай от безопасного аллергического дерматита.
Поэтому в рамках статьи можно дать единственный разумный совет владельцам животных, у которых обнаружились проблемы с кожей или шерстью: посетите ветеринарную клинику, чтобы получить диагноз. Это сэкономит вам массу нервов и денег.
Первичная диагностика стригущего лишая делается прямо при владельце при помощи люминесцентной лампы. Это не самый точный метод, порой он не показывает болезнь. Но в ряде случаев он позволяет определиться с диагнозом и начать лечение.
Второй быстрый способ – трихоскопия. Этот метод занимает 30-60 минут и может быть применен фактически при клиенте, если в клинике есть минимально оборудованная лаборатория и ветврач, умеющий проводить анализ. Техникой исследования владеют не все ветврачи, и тогда проба направляется в ветеринарную лабораторию. Результат придет, как правило, на следующий день.
Существуют и другие методы диагностики стригущего лишая. Они требуют больше времени, однако более точны, а некоторые могут подобрать препараты для лечения болезни. Такие способы применяются обычно в сложных случаях или тогда, когда результаты трихоскопии сомнительны.
Залог точной диагностики стригущего лишая – правильный забор проб. Поэтому не стоит пытаться делать это самостоятельно: слишком высока вероятность получить ложноотрицательный результат просто потому, что шерстинки со спорами не попадут в лабораторию.
Современные лекарства от лишая у кошек
Когда диагноз дерматофитии (она же – стригущий лишай) у кошек доказан, переходят к лечению. Обычно начинают с применения современных фунгицидных средств, например, клотримазола. Производится он как в мазях для наружного применения, так и в таблетках и инъекциях. В ветеринарии активно применяются шампуни с этим или другими подобными действующими веществами.
Клотримазол не единственный современный фунгицидный препарат, разрешенный у кошек. Поэтому конкретное средство, формы выпуска и дозировки должен назначать ветеринарный врач.
Если конкретный штамм дерматофитов оказался устойчивым к наиболее распространенному клотримазолу, то в арсенале современного ветеринара есть еще несколько современных средств. Это, например, кетоконазол, флуканазол и гризеофульвин. При обширном поражении могут применяться сразу 2 препарата из этого списка, один наружно, другой внутрь.
Если лечение только противогрибковыми препаратами не дает желаемого результата, к нему можно добавить вакцины против лишая . Хотя профилактическая их эффективность не доказана, В комплексной терапии они иногда помогают добиться результата, когда только противогрибковых средств оказывается недостаточно.
При выборе любого метода лечения на кошку надевают елизаветинский воротник – приспособление, которое не позволяет животному вылизывать свою шерсть, разнося споры по поверхности тела.
Читайте так же: Перхоть у кошки на спине лечение
Почему лечение может не помочь?
Иногда оказывается, что возбудитель стригущего лишая у конкретного животного не реагирует на конкретный же препарат. В таком случае делают микологический посев – выращивают взятые у пациента грибки на специальной питательной среде, а затем выясняют, какие именно препараты лучше всего действуют на этот грибок.
Но чаще всего причины «невыводимого» стригущего лишая вовсе не в неэффективности лекарств, а в банальной гигиене и неправильном проведении лечения.
Препараты уничтожают грибок на животном, но его споры остаются на подстилке, а при применении местных средств – и на шерсти самого животного.
Если в квартире проживают другие питомцы, то источником повторного заражения могут быть они, даже если сами никаких признаков болезни не проявляют. Для таких случаев хорошо подходят спреи с клотримазолом, а куда именно их распылять, стоит уточнить вместе с лечащим ветврачом при помощи лампы Вуда.
Вторая распространенная причина рецидивов – неправильная или недостаточная обработка помещений. При стригущем лишае лучше выбросить все немоющиеся предметы обихода, во всяком случае те, которые не жалко. Это могут быть лежачки, домики, подстилки. Поверхности, на которых спит кошка, необходимо застилать старыми простынями, которые нужно менять раз в сутки и стирать на максимальной температуре. Гладить необязательно, современная стирка хорошо убирает споры.
Все моющиеся поверхности нужно обрабатывать средствами с противогрибковым эффектом. Обычная бытовая химия для дома не подойдет, лучше купить специальное средство из тех, которые применяются для дезинфекции поверхностей в медицинских учреждениях. Сейчас их легко можно купить для личного пользования. Главный критерий – эффективность против спор грибков.
Средства от лишая с недоказанной эффективностью
Часто можно встретить утверждение, что «лишай – это от плохого иммунитета» и призывы «поднимать иммунку», которые сводятся к введению животному иммуномодуляторов и иммуностимуляторов.
Иммунитет – это сложная система защиты организма от инфекционных агентов – вирусов, бактерий и грибков. Существует общий иммунитет и защитные системы отдельных органов и тканей, в том числе – кожи. Кожный иммунитет отвечает за быстрое заживление ран, он не позволяет чрезмерно размножится возбудителю демодекоза – клещу рода Demodex, который в норме присутствует в коже любого животного, но болезнь вызывает только при неконтролируемом размножении. Эта же система мешает заражению стригущим лишаем, уничтожая грибы, как только споры прорастают. Но она гораздо менее эффективна, когда грибы уже начали размножаться. Общий иммунитет, в свою очередь, не способен «дотянуться» до верхних слоев эпидермиса и прикорневых частей волос, где и обитают возбудители микроспории.
Иммуностимуляторы и иммуномодуляторы влияют на общий иммунитет, который никак не связан с заболеваемостью стригущим лишаем. Они не могут усилить иммунную защиту кожи. И поэтому их применение при микроспории у кошек не имеет смысла.
Цинковая мазь – обладает подсушивающим действием и раньше активно применялась для лечения мокнущих экзем у людей и животных. Антигрибковым эффектом не обладает и при микроспории ее применение бессмысленно.
Серная мазь – обладает губительным действием на чесоточного клеща. Неэффективна против грибков и их спор, поэтому ее применение при стригущем лишае смысла не имеет.
Мазь ЯМ БК противогрибковой активностью обладает. Однако ее состав (сера, дёготь, креолин, скипидар) весьма агрессивен и может вызвать ожоги нежной кожи животных, а противогрибковая эффективность гораздо ниже, чем у современных противогрибковых лекарств. Поэтому ЯМ – устаревшее лекарство, которое не рекомендовано для использования в современной ветеринарии для лечения микроспории и трихофитии.
Лечение лишая у кошек народными подручными средствами
Если у животного диагностирован стригущий лишай, не следует прибегать к «народным» методам лечения. Ведь эта болезнь легко передается людям, даже если симптомы сгладились, а споры остались на шерсти. Кроме того, «народные» обработки шерсти могут помешать работе средств, назначенных ветеринарным врачом. Многие рецепты, которые предлагает интернет, попросту опасны для животных, поскольку включают в себя ядовитые для кошек составляющие либо слишком раздражают кожу, приводя к химическим ожогам.
Как и чем лечить лишай у беременной или кормящей кошки
Лишай у беременных и кормящих кошек лечат точно так же, как у всех остальных. Стараются отдавать предпочтение препаратам в фармакологических формах для местного нанесения, больше внимания уделяют защите от слизывания. Допустимо применение препаратов клотримазола внутрь. Это, безусловно, связано с определенными риском: определение эмбриотоксичности (вреда для плодов) препарата проводилось на мышах и крысах и показало, что жизнеспособность плодов падает в случае значительного (в 60 и более раз) превышения дозы препарата.
Но не лечить стригущий лишай у беременных и кормящих кошек недопустимо, ведь они могут заразить и младенцев, и новорожденных котят. Защитить же котят от вылизывания матерью и разноса спор не удастся, поскольку это – единственный способ поддержания гигиены в гнезде, стимуляции самостоятельной дефекации и многих других важных для новорожденных котят функций.
Профилактика
Основные меры по профилактике лишая у кошек заключаются в соблюдении требований гигиены: исключить доступ на улицу, не пользоваться бывшими в употреблении предметами ухода до надлежащей обработки. Полноценный рацион и достаточная двигательная активность (подвижные игры) помогут поддерживать хорошее состояние животного, а значит, и нормальную сопротивляемость кожи инфекциям.
Не допускайте контакта кошки с уличными одеждой и обувью. Если содержите собаку, то после прогулки мойте животное до того, как позволить ему общаться с другими питомцами, в том числе с кошками.
Если кто-то в доме заболел стригущим лишаем, исключите контакт больного и его вещей с питомцами любого вида, чтобы исключить образование в квартире нового очага инфекции. Животных стоит через неделю-две показать ветврачу, чтобы убедиться, что они не обсеменены спорами. Идеально, если ко времени визита известен конкретный грибок, который вызвал заболевание у человека, а также возможность диагностики этого типа лишая при помощи люминесцентной лампы. Это сэкономит деньги владельца и время ветеринарного врача. Если возбудитель не «светится» под лампой Вуда, необходимы другие методы диагностики.
Видео (кликните для воспроизведения).
Хотите задать вопрос по статье или что-то уточнить? Звоните +79774692712, проконсультируем.
Чем лечить лишай у кошкиОценка 5 проголосовавших: 1
Образование: Московская государственная академия ветеринарной медицины и биотехнологии им. К.И. Скрябина
Место работы: Частная ветеринарная клиника.
Опыт работы: 11 лет.


